スマートフォン専用ページを表示
釣果情報
大阪湾の釣り・ルアー船
Hit Rush(ヒット ラッシュ)の釣果情報です
http://www.hitrush.jp/
<<
2026/01/31(土) 釣果情報
|
TOP
|
2026/02/02(月) 釣果情報
>>
2026年02月01日
2026/02/01(日) 釣果情報
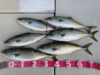
今日もジギングの青物狙いでした。
周りでは一時はバタバタとヒットしている
タイミングもありましたが、
当船はあまり釣果を伸ばして頂けませんでした
釣果は、ハマチ〜ツバス 50cm前後が6匹でした。
寂しい釣果になってしまい
申し訳ありません。
本日はお疲れ様でした。
posted by Hit Rush at 20:24|
Comment(0)
|
TrackBack(0)
|
釣果情報
この記事へのコメント
コメントを書く
お名前: [必須入力]
メールアドレス:
ホームページアドレス:
コメント: [必須入力]
※ブログオーナーが承認したコメントのみ表示されます。
この記事へのトラックバックURL
http://blog.sakura.ne.jp/tb/191612071
この記事へのトラックバック
<<
2026年02月
>>
日
月
火
水
木
金
土
1
2
3
4
5
6
7
8
9
10
11
12
13
14
15
16
17
18
19
20
21
22
23
24
25
26
27
28
検索ボックス
最近の記事
(02/16)
2026/02/16(月) 出船中止です
(02/15)
2026/02/15(日) 釣果情報
(02/14)
2026/02/14(土) 釣果情報
(02/10)
2026/02/10(火) 釣果情報
(02/09)
2026/02/09(月) 出船中止です
最近のコメント
2024/10/09(水) こてこてと
by 脇阪 (10/09)
2023/09/19(火) 釣果情報
by 脇阪 (09/20)
2021/01/16(土) 釣果情報
by ひぐ (01/16)
2020/06/01(月) 釣果情報
by 森本 (06/02)
2019/12/28(土) 釣果情報
by Hit Rush (12/31)
タグクラウド
カテゴリ
釣果情報
(5300)
過去ログ
2026年02月
(12)
2026年01月
(28)
2025年12月
(30)
2025年11月
(27)
2025年10月
(25)
2025年09月
(28)
2025年08月
(29)
2025年07月
(27)
2025年06月
(22)
2025年05月
(28)
2025年04月
(24)
2025年03月
(23)
2025年02月
(26)
2025年01月
(30)
2024年12月
(31)
2024年11月
(28)
2024年10月
(31)
2024年09月
(27)
2024年08月
(24)
2024年07月
(29)
RDF Site Summary
RSS 2.0